OngoingActive

Gulmohar Greens

Kanpur Nagar, Uttar Pradesh
22-09-2016
Launch Date
Ongoing
Type
30-09-2020
Completion Date

Overview

Launch Date

Invalid Date

Completion Date

30-09-2020

RERA ID

UPRERAPRJ8662

Basic Details

Project TypeOngoing
Project CategoryResidential
Total area in round figure (Sq.mt.)20773
Project NameGulmohar Greens
Registration Fee (in Rs.)109000
AddressNot specified
Village/Locality/Sector etc.Not specified
StateUttar Pradesh
Project Duration (In month)49
DistrictKanpur Nagar
Original Start Date22-09-2016
TehsilKanpur
Proposed Start Date22-09-2016
Sanctioning Competent AuthorityKanpur Development Authority
Project Cost (in Lacs)1377
Proposed Completion Date30-09-2020

Location

Latitude

26.32

Longitude

80.15

Bank Details

Account no.39216733004
Name Of Account HolderM G INFRAESTATES PRIVATE LIMITED
Bank NameSTATE BANK OF INDIA
Branch AddressTHE MALL, KANPUR
Branch NameMAIN BRANCH
IFSC CodeSBIN0000107

Development Works

Demarcation of Plots

Plot is well demarketed by arazi no. already given

Boundary Wall

Boundary wall is made all to side with gate

Road Work

Partly done

Footpaths

to be made

Water Supply Including Drinking Water Facilities

No

Sewer System

under developement

Drain

to be developed

Parks

under development

Tree Planting

to be done

Design For Electric Supply Including Street Lighting

to be developed

Community Buildings

No

Treatment and Disposal System of Sewage and Sullage water

Treatment shall be done by drain and sewerage line

Solid Waste Management And Disposal System

Solid waist shall be disposed by sewerage line

Water Conservation System

No

Energy Management System Including Use of Renewable Energy

Electrical supply shall be kesco

Fire Protection And Fire Safety System

No

Social Infrastructure And Other Public Amenities Including Public Health Services

No

Emergency Evacuation Services

No

Other Miscellaneous Work

Green area out side boundary wall is under develpment

Documents

Extract of Khatauni

No: 1412-1417 | Date: -

Other Plan(If Any)

Proforma of Completion Certificate(Occupancy)

Development Work Plan

Details of Encumbrances

Uploaded: 16-07-2018

Commencement Certificate

Uploaded: 16-07-2018

Proforma of Application Form

Uploaded: 16-07-2018

Proforma of Allotment Letter

Uploaded: 16-07-2018

Proforma of Conveyance Deed

Uploaded: 16-07-2018

Waste Disposal Plan

Uploaded: 16-07-2018

Water Supply Plan

Uploaded: 16-07-2018

Electricity Supply Plan

Uploaded: 16-07-2018

Affidavit

Uploaded: 16-07-2018

CA CERTIFICATE

Uploaded: 16-07-2018

ARCHITECT CERTIFICATE

Uploaded: 16-07-2018

ENGINEERS CERTIFICATE

Uploaded: 16-07-2018

Registry Document In Case of Own Land

Uploaded: 08-08-2017

Details of Encumbrances

Uploaded: 08-08-2017

Authentic copy of Approval of Project

Uploaded: 08-08-2017

Sanctioned Layout Plan (Of Entire Project)

Uploaded: 08-08-2017

Commencement Certificate

Uploaded: 08-08-2017

Waste Disposal Plan

Uploaded: 08-08-2017

Water Supply Plan

Uploaded: 08-08-2017

Electricity Supply Plan

Uploaded: 08-08-2017

Proforma of Application Form

Uploaded: 08-08-2017

Proforma of Allotment Letter

Uploaded: 08-08-2017

Affidavit

Uploaded: 08-08-2017

Proforma of Conveyance Deed

Uploaded: 08-08-2017

Permits

Orignal Permit No670/BHAWAN/15-16
Orignal Permit Date22-09-2016
Valid Upto21-09-2021
Revalidated Permit No-
Revalidated Permit Date-
Revalidated Permit Valid Upto-
Permit Extendable Upto20-09-2022
End Date31-03-2020
Uploaded Approve LayoutOpen
Uploaded Sanctioned LetterOpen
Uploaded Approved MapOpen
Uploaded Floor Plan Of All TypesNot Specified
Uploaded Project SpecificationsOpen
Uploaded Sajra DetailNot Specified

Project Team

Contractor Name (if any)N/A
Contractor AddressN/A
Architect NameRupesh Associates
Architect AddressG-1, Indraprastha Appt., 111/7, Harsh nagar, Kanpur
Architect Licence NumberCA/98/22528
Structural Engineer NameN/A
Structural Engineer AddressN/A
Mobile number(Project Co-ordinator)9792245444

Land Details

Plot

Showing 1 blocks with 4 units

Property Summary

Total Carpet Area

0.00

0.00 ft²

Total Units

0

1 different types

Blocks & Floors

1

1 floors across all blocks

Parking

0

0 garages, 0 open

Average unit size:NaN
Balconies:0
Parking ratio:NaN per unit

Block undefined

4 units

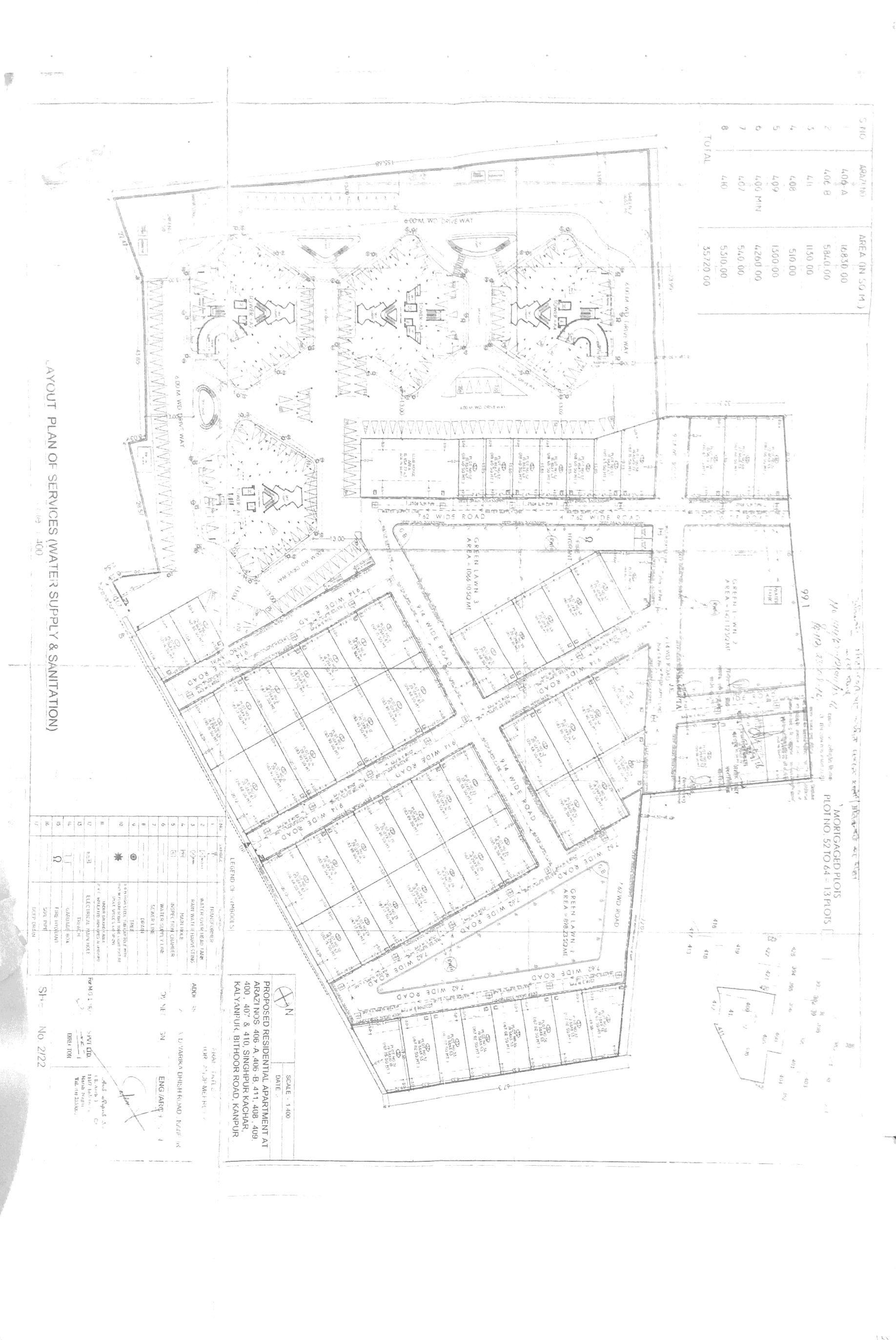
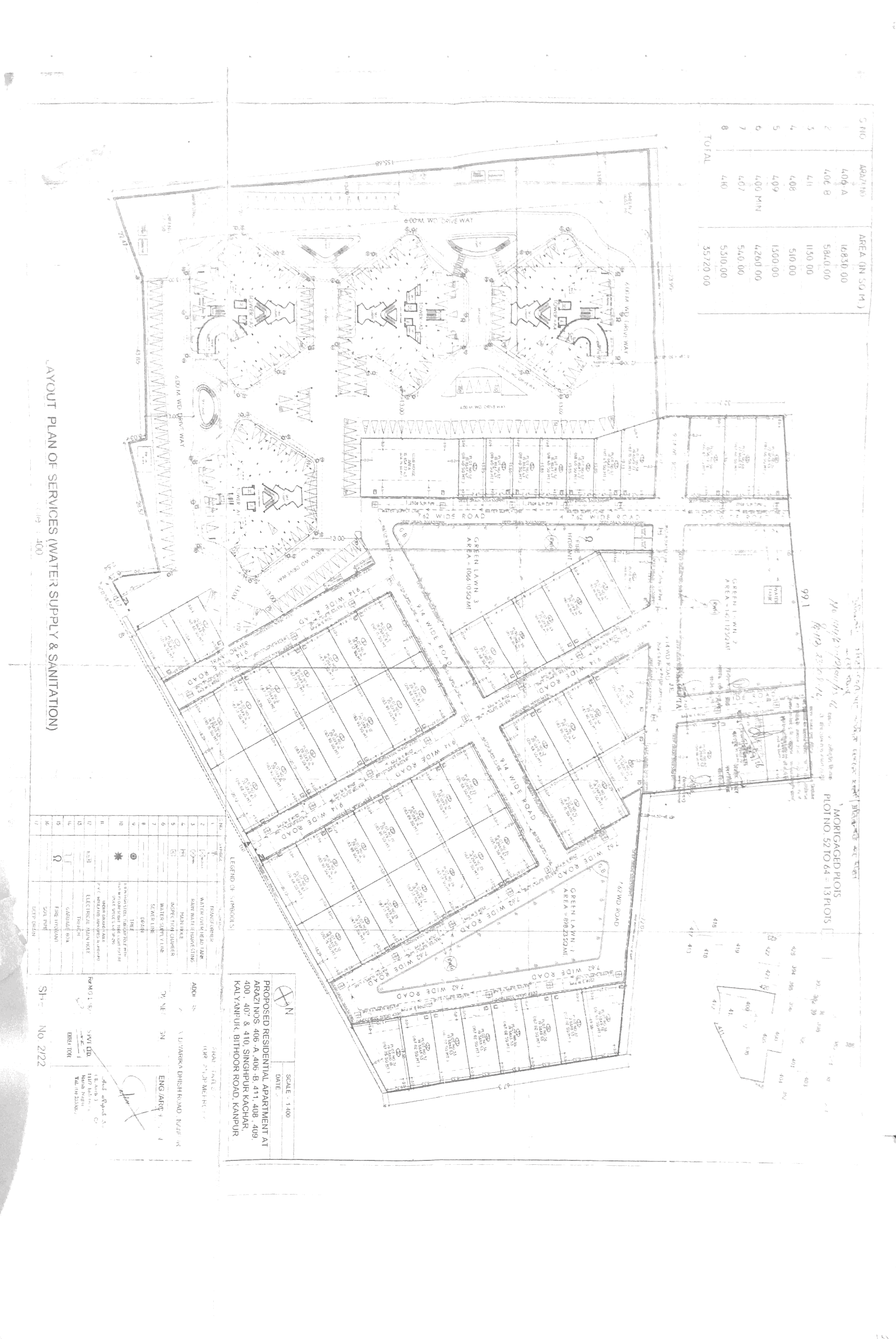
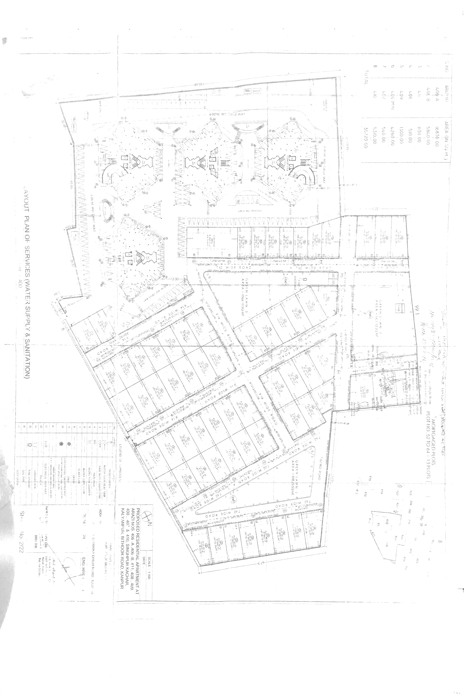
Khasra Details

Total Area

35720.00

384486.51 ft²

8 plots
Khasra
TypeKhasra
Khasra/Plot No406A
Area(In Sq. Mt.)16830
Khasra
TypeKhasra
Khasra/Plot No406B
Area(In Sq. Mt.)5840
Khasra
TypeKhasra
Khasra/Plot No411
Area(In Sq. Mt.)1130
Khasra
TypeKhasra
Khasra/Plot No408
Area(In Sq. Mt.)510
Khasra
TypeKhasra
Khasra/Plot No409
Area(In Sq. Mt.)1300
Khasra
TypeKhasra
Khasra/Plot No400 Min
Area(In Sq. Mt.)4260
Khasra
TypeKhasra
Khasra/Plot No407
Area(In Sq. Mt.)540
Khasra
TypeKhasra
Khasra/Plot No410
Area(In Sq. Mt.)5310

Other Details

Contractor Name (if any)N/A
Contractor AddressN/A
Architect NameRupesh Associates
Architect AddressG-1, Indraprastha Appt., 111/7, Harsh nagar, Kanpur
Architect Licence NumberCA/98/22528
Structural Engineer NameN/A
Structural Engineer AddressN/A
Mobile number(Project Co-ordinator)9792245444
Gulmohar Greens by M G INFRAESTATES PRIVATE LIMITED | ReraTracker