OngoingActive

Apex City

Meerut, Uttar Pradesh
22-11-2014
Launch Date
Ongoing
Type
21-11-2019
Completion Date

Overview

Launch Date

Invalid Date

Completion Date

21-11-2019

RERA ID

UPRERAPRJ6056

Basic Details

Project TypeOngoing
Project CategoryResidential
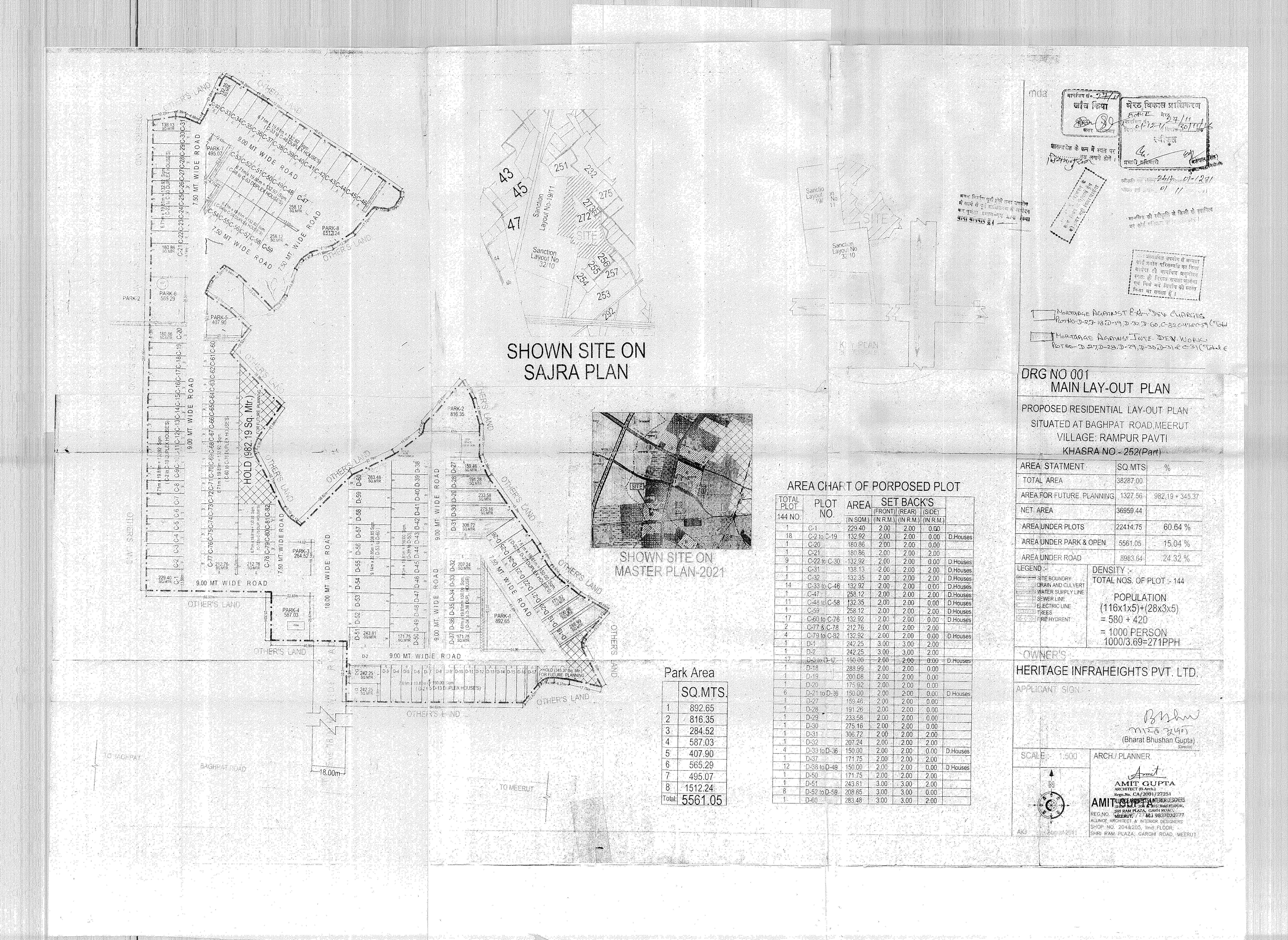
Total area in round figure (Sq.mt.)41721
Project NameApex City
Registration Fee (in Rs.)214000
AddressNot specified
Village/Locality/Sector etc.Not specified
StateUttar Pradesh
Project Duration (In month)60
DistrictMeerut
Original Start Date01-12-2011
TehsilMeerut
Proposed Start Date22-11-2014
Sanctioning Competent AuthorityMeerut Development Authority
Project Cost (in Lacs)1217
Proposed Completion Date21-11-2019

Location

Latitude

28 58 25 24

Longitude

77 37 58 89

Bank Details

Account no.01482180000142
Name Of Account HolderHeritage Infraheights Pvt. Ltd.
Bank NameKotak Mahindra Bank
Branch AddressPlot No. 179, Mangal Pandey Nagar, Scheme No.1, Meerut-250004
Branch NameMangal Pandey Nagar, Meerut
IFSC CodeKKBK0000148

Development Works

Demarcation of Plots

Completed

Boundary Wall

Completed

Road Work

85% work Completed

Footpaths

Completed

Water Supply Including Drinking Water Facilities

Completed

Sewer System

Completed

Drain

85% Completed

Parks

85% Completed

Tree Planting

Completed

Design For Electric Supply Including Street Lighting

Completed

Community Buildings

NA

Treatment and Disposal System of Sewage and Sullage water

Completed

Solid Waste Management And Disposal System

NA

Water Conservation System

Completed

Energy Management System Including Use of Renewable Energy

NA

Fire Protection And Fire Safety System

NA

Social Infrastructure And Other Public Amenities Including Public Health Services

NA

Emergency Evacuation Services

NA

Other Miscellaneous Work

NA

Documents

Sale Deed

No: 6456 | Date: 23-05-2011

Sale Deed

No: 6949 | Date: 31-05-2011

Sale Deed

No: 7288 | Date: 07-06-2011

Sale Deed

No: 10275 | Date: 21-08-2014

Sale Deed

No: 12635 | Date: 14-10-2014

Sale Deed

No: 13393 | Date: 31-10-2014

Details of Encumbrances

Commencement Certificate

Other Plan(If Any)

Proforma of Application Form

Proforma of Allotment Letter

Proforma of Conveyance Deed

Proforma of Completion Certificate(Occupancy)

Affidavit

Waste Disposal Plan

Uploaded: 06-07-2018

Water Supply Plan

Uploaded: 06-07-2018

Electricity Supply Plan

Uploaded: 06-07-2018

Development Work Plan

Uploaded: 06-07-2018

CA CERTIFICATE

Uploaded: 06-07-2018

ARCHITECT CERTIFICATE

Uploaded: 06-07-2018

ENGINEERS CERTIFICATE

Uploaded: 06-07-2018

Permits

Orignal Permit No25/2014
Orignal Permit Date22-11-2014
Valid Upto21-11-2019
Revalidated Permit No-
Revalidated Permit Date-
Revalidated Permit Valid Upto-
Permit Extendable Upto21-11-2022
End Date21-11-2019
Uploaded Approve LayoutOpen
Uploaded Sanctioned LetterOpen
Uploaded Approved MapOpen
Uploaded Floor Plan Of All TypesNot Specified
Uploaded Project SpecificationsOpen
Uploaded Sajra DetailNot Specified

Project Team

Contractor Name (if any)Not applicable
Contractor AddressNot Applicable
Architect NameAlliance Architects and Engineers
Architect Address1, First Floor, Reliance Plaza, Sector 4B, Vasundhara Ghaziabad
Architect Licence NumberCA /27251/2001
Structural Engineer NameNot Applicable
Structural Engineer AddressNot Applicable
Mobile number(Project Co-ordinator)9837088122

Land Details

Plot

Showing 1 blocks with 4 units

Property Summary

Total Carpet Area

0.00

0.00 ft²

Total Units

0

1 different types

Blocks & Floors

1

1 floors across all blocks

Parking

0

0 garages, 0 open

Average unit size:NaN
Balconies:0
Parking ratio:NaN per unit

Block undefined

4 units

Khasra Details

Total Area

42780.00

460479.64 ft²

6 plots
Khasra
TypeKhasra
Khasra/Plot No252
Area(In Sq. Mt.)6400
Khasra
TypeKhasra
Khasra/Plot No252
Area(In Sq. Mt.)20887
Khasra
TypeKhasra
Khasra/Plot No252
Area(In Sq. Mt.)11000
Khasra
TypeKhasra
Khasra/Plot No272
Area(In Sq. Mt.)1075
Khasra
TypeKhasra
Khasra/Plot No272
Area(In Sq. Mt.)1709
Khasra
TypeKhasra
Khasra/Plot No272
Area(In Sq. Mt.)1709

Other Details

Contractor Name (if any)Not applicable
Contractor AddressNot Applicable
Architect NameAlliance Architects and Engineers
Architect Address1, First Floor, Reliance Plaza, Sector 4B, Vasundhara Ghaziabad
Architect Licence NumberCA /27251/2001
Structural Engineer NameNot Applicable
Structural Engineer AddressNot Applicable
Mobile number(Project Co-ordinator)9837088122
Apex City by HERITAGE INFRAHEIGHTS PVT. LTD. | ReraTracker